Immune Epitope Database and Analysis Resource网站的使用方法
1. 背景
HLA分型技术 主要组织相容性复合体(MHC)是脊椎动物体内最复杂且具有高度多态性的基因群。1984年George Snell 首次发现小鼠MHC即H-2,1958年Dausset 发现了人的MHC即HLA(人类白细胞抗原)基因。MHC的表达产物称为主要组织相容性抗原,MHC抗原是有核细胞表面膜蛋白分子,对抗原递呈和免疫信号传递起关键作用。
2. 使用步骤
2.1 主页
链接:http://www.iedb.org/home_v3.php
页面指示:

2.2 T-Cell 表位预测
点击主页右上角T Cell Epitope Predition中的MHC I Binding

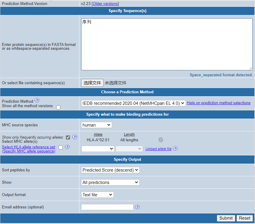
可以按照自己的需求调整选项:
Enter protein sequence(s) in FASTA format or as whitespace-separated sequences.可以粘贴序列,也可以load文件,注意不要有空格或者空白段落;Prediction Method默认推荐选项即可;MHC source species选择humanShow only frequently occuring alleles勾选Allele,添加HLA-A*02:01,配套Length选择All lengths。Sort peptides选择Position in sequenceShow选择All preditionsOutput format选择Text file/HTML table都可以
然后点击提交就可以得到分析表格了。